![]() ![]() ![]()
Tipo de Propiedad:
Renta Comercial
Subtipo:
Retail
Estado:
Activo
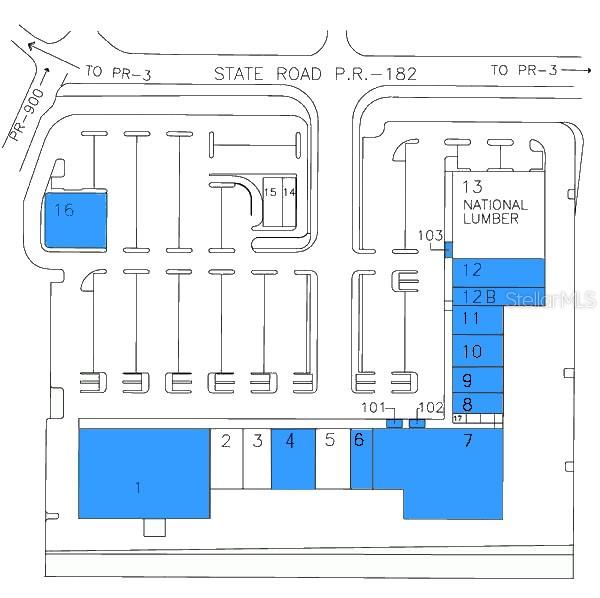
Available retail space, free standing pad space and Kiosk RMU for rent in Plaza Yabucoa
Dirección:
PR-182 INT. PR-900 Yabucoa, Puerto Rico 00767
Detalles AdicionalesExteriorMateriales de Construcción Concrete GeneralDias en el Mercado 2063 Área y TerrenoTamaño del Terreno en Acres 2.5 InversiónTax Anual $0 Costos de HOA $0 ¿Interesado en la Propiedad? Comunicate
Leon Winer
Licencia:
#C-3937
PO Box 190858
San Juan Puerto Rico, 00919
Teléfono:
787-632-4300
Oficina:
787-632-4300
Nuevos Listados en la Misma ÁreaActivo
Bo. Tejas Lote #2 CARR. 901 KM. 5.2 Yabucoa, PR
$375,000
4 Cuartos
3.1 Baños
2600 Pies Cuadrados
Recientemente Vendido en la Misma ÁreaCerrado
Urb. Jaime C. Rodríguez CALLE 5 #E5 Yabucoa, PR
$100,000
5 Cuartos
1 Baños
8043 Pies Cuadrados
Cerrado
Sec. El Negro Solar 106 BO CAMINO NUEVO Yabucoa, PR
$149,900
4 Cuartos
1.1 Baños
14755 Pies Cuadrados
|


